Strona z portalu

  / Aktualności / Uwaga utrudnienia w ruchu!
Zaloguj
Zaloguj
Zaloguj bezpiecznie
Szukaj
Szukaj
Którekolwiek ze słówWszystkie słowa
Uwaga utrudnienia w ruchu!
Zdjęcie
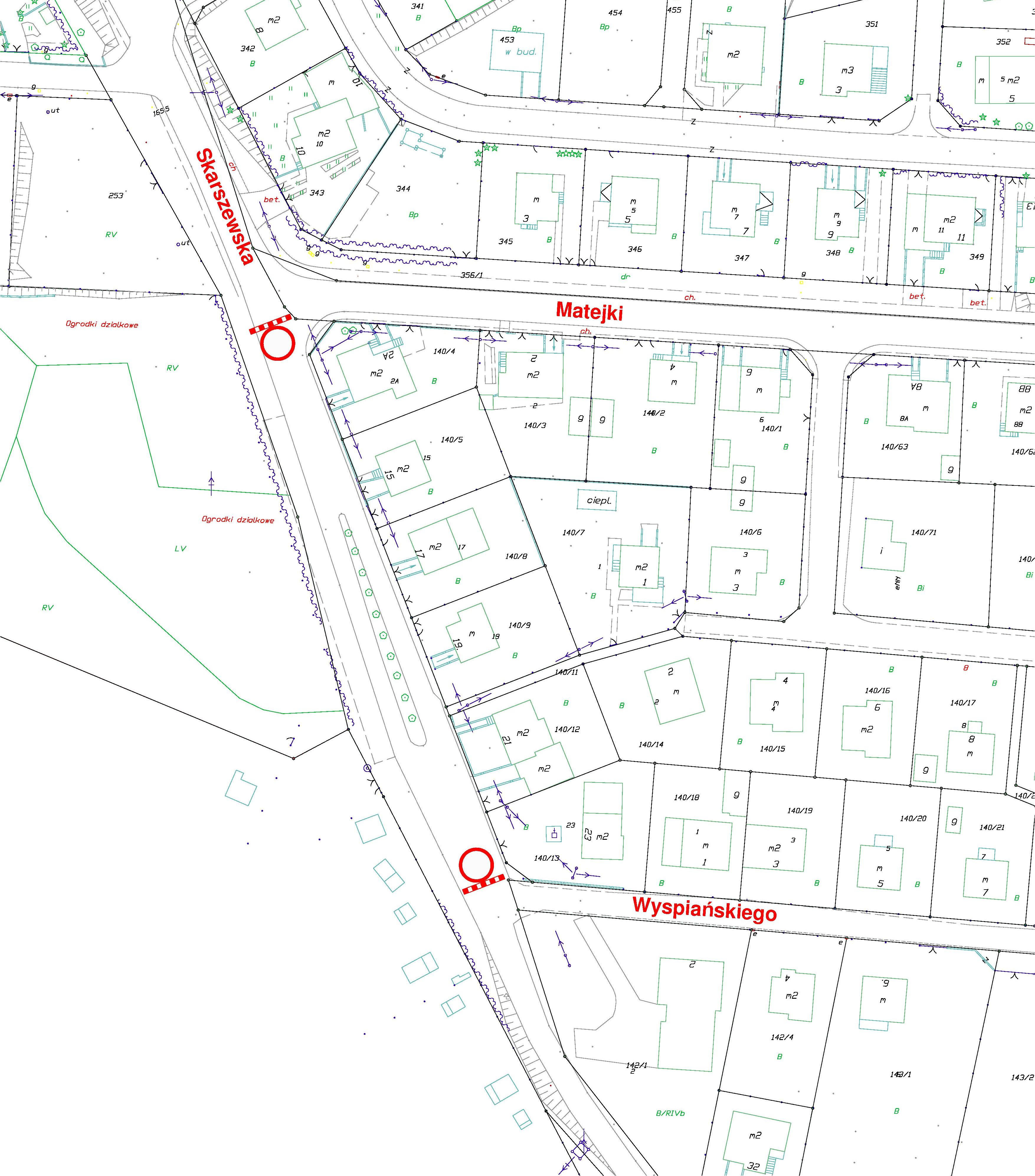
Urząd Miasta Kościerzyna informuje, że w związku z robotami prowadzonymi w ramach inwestycji pn. „Poprawa bezpieczeństwa i dostępności komunikacyjnej poprzez modernizację układu drogowego w Kościerzynie łączącego Szpital Specjalistyczny z węzłem integracyjnym na dworcu kolejowym i Pomorską Koleją Metropolitarną” z ruchu została wyłączona ul. 8 Marca na odcinku od ul. 31 Stycznia 1920 r. do ul. Staszica, ul. Skarszewska na odcinku od Matejki do ul. Wyspiańskiego i ul. Mała Dworcowa na odcinku od ul. Świętopełka do ul. Karnowskiego. Utrudnienia w ruchu występują również na ul. Karnowskiego, Sędzickiego i Skarszewskiej.

 

 

Pobierz TUTAJ

 

Pobierz TUTAJ

 

Pobierz TUTAJ

 

 

 

 

 

 

 

 

Strona: 1 
Stronę odwiedzono 3051 razy.
v.20150330-094928
Morgan&Men SEO - Widget